Service Guide

Get Ants Extermination Service

Local contractors offer ant extermination services to eliminate infestations and protect properties from damage caused by ants.

Ants can quickly become a persistent nuisance for property owners, making professional extermination services a practical solution to consider. Whether dealing with an active infestation or aiming to prevent future issues, local contractors specializing in ant control can provide effective treatments tailored to specific property needs. Exploring your options and planning ahead can help ensure your property remains comfortable and pest-free.

For those in the area evaluating ant extermination services, understanding the available local contractors can make the process more straightforward. Comparing different providers allows property owners to find experienced professionals capable of addressing their unique concerns. Continuing to explore your options can lead to a well-informed decision for maintaining a pest-free environment.

Get Ants Extermination Service Quotes

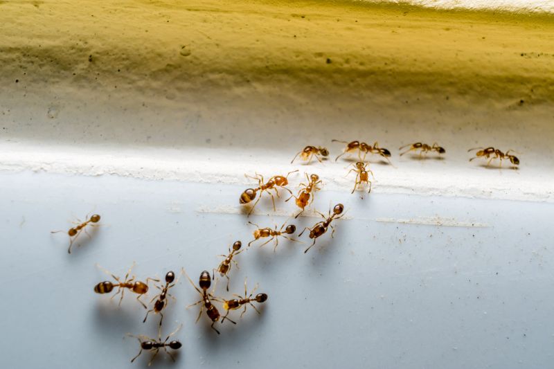
  • Ants Extermination - needed when ants invade a home or business, creating a nuisance or potential health concern.
  • Ants Prevention - required for ongoing protection after an initial ant infestation has been controlled.
  • Ants Inspection - necessary to identify the source of an ant problem and determine the extent of the infestation.
  • Ants Removal - appropriate when ants have established nests inside or around the property and need to be eliminated.
  • Ants Treatment - essential for targeted application of solutions to eradicate ant colonies and prevent future issues.
Ants Extermination Service
Ants Extermination Service
Ants Extermination Service

Ants extermination services involve targeted treatments designed to eliminate ant colonies and prevent future invasions. These services typically start with an inspection to identify the type of ants present and locate their nests, which may be hidden inside walls, beneath flooring, or outdoors near the property. Once the problem areas are identified, service providers apply specialized treatments such as bait stations, dusts, or liquid insecticides to eliminate the ants at their source. The goal is to reduce or completely eradicate the ant population, helping homeowners regain control over their living space.

These services help address common household problems caused by ants, including the nuisance of constant crawling and the potential for food contamination. Certain ant species, like carpenter ants, can also cause structural damage by burrowing into wood, leading to costly repairs if left untreated. Additionally, some ants may pose health concerns, especially if they are attracted to food or clutter, increasing the risk of pest-related issues in kitchens, pantries, and other areas. Professional extermination provides a thorough approach to managing these problems effectively and preventing recurring infestations.

Properties that typically utilize ants extermination services range from single-family homes to multi-unit residential buildings, as well as commercial properties like restaurants and food storage facilities. Homes with visible ant trails, nests near the foundation, or signs of ant activity indoors are common candidates for treatment. Properties with accessible outdoor spaces, such as gardens or patios, may also benefit from exterior treatments to create a barrier against ant entry. Regular inspections and targeted treatments help maintain a pest-free environment in both residential and commercial settings.

Homeowners should consider ants extermination services when noticing persistent ant activity that disrupts daily life or when structural damage from certain ant species becomes apparent. If ants are found indoors, especially in kitchens or pantries, or if outdoor ant colonies are nearby, professional treatment can help manage and eliminate the problem effectively. Local service providers are equipped to assess the specific situation, recommend appropriate treatment options, and implement solutions tailored to the property’s needs, ensuring a cleaner, safer, and more comfortable living space.

The overview below groups typical Ants Extermination Service projects into broad ranges so you can see how smaller, mid-sized, and larger jobs often compare in your area.

In many markets, a large share of routine jobs stays in the lower and middle ranges, while only a smaller percentage of projects moves into the highest bands when the work is more complex or site conditions are harder than average.

Initial Inspection and Treatment - Most basic ant extermination services typically range from $250 to $600 for smaller homes or routine treatments. Many projects fall within this middle range, covering standard infestations in residential properties. Larger or more severe cases can push costs higher, especially if multiple treatments are needed.

Localized Spot Treatments - Targeted treatments for specific ant nests or problem areas usually cost between $150 and $400. These are common for addressing visible ant activity in one part of a property and often represent the lower end of typical service costs. More extensive infestations may require additional work, increasing overall expenses.

Full Property Extermination - Complete ant eradication for larger homes or properties can range from $600 to $1,500. Many local contractors handle these larger projects, with costs increasing based on property size and infestation severity. Less common, very large or complex projects may exceed this range.

Ongoing Maintenance and Prevention - Regular pest management plans or preventative treatments generally cost between $200 and $500 per visit. These plans are often recommended for high-risk areas and tend to fall into the middle of the typical cost spectrum, with fewer projects requiring continuous or extensive service.

Actual totals will depend on details like access to the work area, the scope of the project, and the materials selected, so use these as general starting points rather than exact figures.

Get a Quote

Pest Control for Cockroaches - professionals use similar inspection and treatment techniques to identify and eliminate pests in residential and commercial spaces.

Bed Bug Extermination - local contractors apply targeted treatments and strategic planning to eradicate bed bugs, sharing skills with ant extermination methods.

Termite Damage Repair - specialists assess structural damage and implement treatment plans, utilizing planning and pest control tools comparable to ant extermination services.

Rodent Control Services - experts employ trapping, baiting, and exclusion techniques that align with pest management strategies used for ants.

Spider Pest Removal - service providers identify spider habitats and apply removal techniques similar to those used in ant control projects.

Wildlife Exclusion Services - contractors develop plans to exclude animals from properties, utilizing similar planning and pest prevention skills as ant extermination services.

Ants Extermination Service

When comparing local contractors for ant extermination services, it’s helpful to consider their experience with similar projects. An experienced service provider will have a history of effectively managing ant infestations in homes comparable to yours, which can indicate their familiarity with common issues and effective treatment methods. Asking about their background with residential ant control can provide insight into their expertise and whether they are well-versed in handling the specific challenges that might arise in your area.

Clear, written expectations are essential when evaluating potential service providers. This includes understanding what the treatment process entails, what preparations might be necessary, and what results you can reasonably anticipate. A reputable contractor will be transparent about their approach and provide detailed information in writing, helping to ensure there are no surprises and that both parties are aligned on the scope of work.

Reputable references and good communication are key indicators of a reliable local contractor. Asking for references from previous clients can give an idea of the contractor’s track record and customer satisfaction. Additionally, a service provider who communicates clearly and promptly demonstrates professionalism and a willingness to address questions or concerns. These qualities can make the process smoother and increase confidence that the contractor will deliver quality service for your ant extermination needs.

Get an Ants Extermination Service Quote

Property owners use Ants Extermination Service services for practical projects around their homes and businesses. This guide focuses on everyday jobs and straightforward project options.

Ants Extermination Service
Ants Extermination Service

Ants can become a common nuisance for property owners dealing with everyday issues such as spilled food, crumbs left on counters, or outdoor debris attracting these tiny pests. When ants invade homes or businesses, they can quickly spread and become difficult to manage without professional help. Local contractors specializing in ant extermination can assess the situation, identify the source of the infestation, and implement effective treatment plans to eliminate the problem and prevent future visits.

In addition to food-related messes, property owners might seek ant extermination services when noticing persistent trails or sudden increases in ant activity around their property. Whether it's a residential residence or a commercial space, local service providers can handle infestations of various sizes, offering solutions tailored to specific needs. Connecting with experienced contractors can help ensure that ant problems are addressed efficiently, restoring comfort and cleanliness to the property.

Get an Ants Extermination Service Quote

How do local contractors identify ant infestations? They typically perform a thorough inspection of the property, looking for signs such as ant trails, nests, and entry points to determine the extent of the infestation.

What methods do ants extermination services use? Service providers often use baiting, liquid treatments, or dust applications to eliminate ants and prevent future invasions.

Are ant extermination treatments safe for pets and children? Many local contractors use treatments that are considered safe when applied properly; it's advisable to discuss safety concerns with the chosen service provider.

Can ants return after treatment? While treatments can effectively eliminate existing colonies, ongoing prevention measures may be recommended to reduce the chances of future infestations.

What should I do to prepare for an ant extermination service? It's generally recommended to clear clutter near walls, store food properly, and follow any specific instructions provided by the service provider to ensure effective treatment.

Ants Prevention Strategies - Property owners can implement proactive measures to reduce ant attractants and create less inviting environments for ants.

Infestation Inspection - Homeowners can schedule inspections to identify ant activity early and prevent larger infestations from developing.

Barrier Treatments - Local contractors can apply treatments around the property perimeter to help keep ants from entering indoor spaces.

Ongoing Maintenance Plans - Property owners can set up regular pest control routines to maintain a pest-free environment over time.

Ants Extermination Service

If you are thinking about Ants Extermination Service for a property, this guide is meant to help you understand the work, the typical project types, and how different options might fit your plans.

When you are ready, you can use the quote form on this page to share a few details about your project. From there, local pros can review the basics and respond with options that match what you have in mind.

Get a Quote

Ants Extermination Quotes